Ant Control Quotes

Local Services

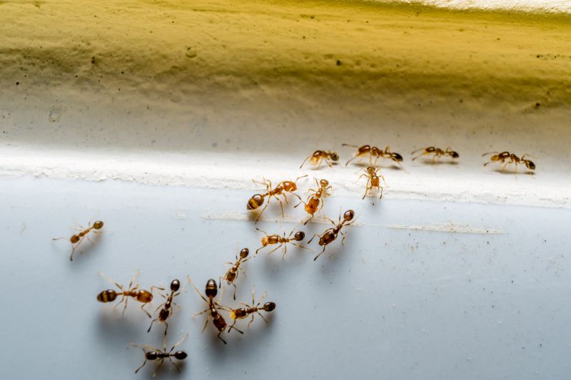
Trusted Ant Control Services in Denton, TX

Choosing our ant control service in Denton, TX ensures a straightforward process with clear communication and practical results to keep your home ant-free.

Denton, TX
Reliable ant control services and related pest solutions are available around Denton, TX, with clear communication and practical results.
Service Overview

Ant control services in Denton, TX, are designed to help homeowners and property managers manage and eliminate ant infestations effectively. Ants can be a persistent nuisance, often invading kitchens, living areas, and outdoor spaces, leading to potential hygiene concerns and property damage. Many seek professional assistance to address these issues because DIY methods may not fully resolve the problem or prevent future invasions. A targeted approach can restore comfort and peace of mind, ensuring that ant activity is minimized and the environment remains comfortable and safe.

The approach to ant control emphasizes a quality mindset that prioritizes clear communication and a clean, efficient process. The focus is on understanding the specific needs of each property, applying treatments thoughtfully, and maintaining transparency throughout the service. The goal is to deliver a smooth experience, with attention to detail and a tidy work area, so that clients feel confident in the process without false promises of guarantees. The emphasis is on practical, effective solutions tailored to the unique circumstances of each property, fostering trust and satisfaction.

In addition to ant control, related services are available for properties in Denton, Texas, to address other pest concerns or maintenance needs. These services are designed to complement ant management efforts and provide comprehensive pest prevention solutions for the local community. Choosing a local provider ensures familiarity with the area and its specific pest challenges, making it easier to develop practical, effective strategies. For residents and property owners in Denton, TX, selecting a trusted service provider for ant control and related needs can lead to a more comfortable, pest-free environment with a straightforward, reliable process.

Why Choose Us
  • Local Expertise - Ant control services are tailored specifically for properties in Denton, TX, ensuring effective results.
  • Clear Communication - Detailed explanations and updates keep clients informed throughout the ant control process.
  • Practical Solutions - Focused on eliminating ant problems efficiently to restore comfort and prevent future infestations.
  • Smooth Process - Coordinated scheduling and straightforward procedures make ant control hassle-free for residents of Denton.
Ant Control Service
Other Services We Can Help With

Explore other helpful services available in Denton, TX, to ensure a comprehensive and seamless pest control experience.

  • Residential Pest Management - when ants invade indoor living spaces, disrupting comfort and hygiene.
  • Kitchen and Food Area Protection - to prevent ants from contaminating food preparation and storage zones.
  • Exterior Barrier Treatments - for homeowners seeking to reduce ant entry points around their property.
  • Structural Inspection and Prevention - when identifying potential ant entry sites and implementing proactive solutions.
  • Emergency Ant Infestation Response - for urgent situations where ant populations rapidly escalate inside the home.
  • Seasonal Pest Control Maintenance - to keep ant problems from developing during peak activity periods in Denton, TX.
What To Expect

When choosing an Ant Control Service in Denton, Texas, clients can expect a thorough planning process designed to address specific needs. The service begins with a clear understanding of the property’s layout and ant activity, ensuring that the approach is tailored effectively. This upfront planning helps create a straightforward process, reducing surprises and making it easier to understand what steps will be taken to manage the ant problem.

Clear communication is a key part of working with this service. Clients will be kept informed about the scope of work, what treatments will be used, and any preparations needed before the service begins. This transparency fosters confidence and ensures everyone is on the same page, making the entire experience smooth and predictable. The goal is to keep things simple and practical, focusing on outcomes that matter most-reducing ant activity and restoring comfort to the property.

Respectful jobsite habits and a commitment to straightforward service are emphasized throughout the process. The team approaches each property with care, minimizing disruption and maintaining a clean work environment. This practical approach ensures that the service is efficient and respectful of the property and its occupants. For those in Denton, Texas seeking an ant control solution that is clear, dependable, and easy to work with, this service offers a trusted option to effectively address ant issues with confidence.

FAQ

How does ant control service work in Denton, TX? Ant control services typically involve inspecting the property to identify ant colonies and entry points, then applying targeted treatments to eliminate existing ants and prevent future infestations. The process aims to reduce ant activity efficiently and safely for your home or business.

Are the treatments safe for children and pets in Denton, TX? Yes, the ant control methods used are designed to be safe around children and pets when applied properly. Clear communication about treatment areas and precautions is provided to ensure safety during and after the service.

How long does an ant control treatment usually last in Denton, TX? The effectiveness of ant control treatments can vary depending on the severity of the infestation and environmental factors. Typically, a single treatment can provide several weeks of relief, with follow-up services available if needed.

Will I need to prepare my property before the ant control service? Basic preparation may include cleaning up food and water sources, and removing clutter near entry points. Specific instructions will be provided to ensure the treatment process is as effective and smooth as possible.

What types of ants are commonly treated in Denton, TX? Common ant species treated include odorous house ants, fire ants, and carpenter ants. Proper identification helps determine the most effective treatment approach for each type.

How can I prevent future ant problems after treatment in Denton, TX? Preventative measures include sealing entry points, maintaining cleanliness, and removing attractants like food and water sources. Ongoing communication about pest management strategies helps keep ants from returning.

Next Step

Choosing an ant control service in Denton, Texas, is a practical step toward creating a more comfortable and pest-free home environment. With clear communication and a straightforward process, residents can expect practical solutions tailored to their specific needs. Opting for professional assistance ensures effective results without the hassle, making it easier to enjoy your space without the worry of persistent ant problems.

Starting here provides a trusted and reliable option for ant control in Denton, Texas. The focus is on delivering practical outcomes through a smooth, transparent process that prioritizes your convenience. For those seeking effective, local pest management, this service offers a confident next step toward a cleaner, ant-free home.

Our Trusted Partners
Groundworks